libec
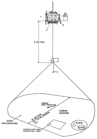
Project FAMOUS used the U.S. Navy’s LIBEC camera system, which suspended high-intensity electronic flash lamps well above the ocean bottom. (Couresty of U.S. Naval Research Laboratory)

Back to main story